(CNN) — La primavera está en pleno apogeo, pero algunos meteorólogos ya se están adelantando unos meses a la temporada de huracanes.
La temporada de huracanes en el Atlántico abarca de junio a noviembre, y debido al creciente fenómeno de El Niño, la de este año podría diferir de las temporadas activas de gran parte de la última década, según un nuevo pronóstico de investigadores de la Universidad Estatal de Colorado (CSU).
Ellos pronostican una temporada ligeramente por debajo del promedio, con 13 tormentas con nombre (entre tormentas tropicales y huracanes). Se espera que seis de ellas se conviertan en huracanes y dos se intensifiquen hasta alcanzar la categoría 3 o superior.

La Universidad Estatal de Colorado prevé una temporada de huracanes más tranquila/Gráfico CNN
Solo una temporada de huracanes en el Atlántico desde 2016 terminó con un número de tormentas inferior al promedio: la de 2025. El año pasado se registraron 13 tormentas con nombre, incluyendo cinco huracanes, entre los que destaca Melissa, de categoría 5, que devastó Jamaica.
El pronóstico inicial de la CSU de 17 tormentas resultó excesivo, al igual que el pronóstico oficial de la Administración Nacional Oceánica y Atmosférica (NOAA).
Los expertos de la CSU predijeron una temporada ligeramente inferior al promedio en su pronóstico inicial de 2023. Sin embargo, la actividad tropical de ese año, impulsada por las temperaturas récord de los océanos, terminó siendo superior a lo normal, desafiando casi todos los pronósticos iniciales.

Edificios destruidos tras el paso del huracán Melissa por Black River, Jamaica, en octubre. La tormenta dejó un rastro de destrucción en el Caribe. Ricardo Makyn/AFP/Getty Images
Predecir el futuro con tanta antelación tiene sus riesgos, especialmente en un mundo que se calienta debido a la contaminación por combustibles fósiles, pero la CSU no recurre a una bola mágica.
Consultan modelos de pronóstico que han estado perfeccionando durante años y que han demostrado ser más precisos que los promedios estacionales por sí solos.
También existen otras señales significativas, como el inminente regreso de El Niño, que han dado a los meteorólogos una mayor confianza de lo normal en que habrá menos actividad tropical en general, según Phil Klotzbach, científico investigador sénior y autor principal del pronóstico de la CSU.
El fenómeno de El Niño
El pronóstico de la Universidad Estatal de Colorado señala a El Niño como el factor dominante para la próxima temporada de huracanes.
La Niña, que ha estado presente desde que terminó el otoño este mes, dio paso a las llamadas condiciones neutrales. Se espera que El Niño se intensifique a finales de la primavera y comience oficialmente a mediados del verano, según el último pronóstico de la NOAA.
Esto significa que El Niño estará presente durante el pico de la temporada de huracanes, que abarca desde mediados de agosto hasta mediados de octubre.
Como recordatorio: El Niño es un patrón climático natural caracterizado por temperaturas del agua superiores al promedio en el Pacífico ecuatorial, lo que también provoca cambios en los patrones de la atmósfera superior. En conjunto, estos factores influyen en el clima a nivel mundial.
Los meteorólogos monitorean de cerca a El Niño y a su contraparte más fría, La Niña, porque afectan el clima de una manera bastante consistente y predecible con mucha anticipación, especialmente cuando los patrones son intensos.
Las condiciones de El Niño generalmente provocan un aumento en la cizalladura del viento (un cambio en la velocidad o dirección del viento con la altura) en la atmósfera superior sobre partes de la cuenca del Atlántico. Una fuerte cizalladura del viento puede debilitar las tormentas al dispersar su rotación o impedir su formación.

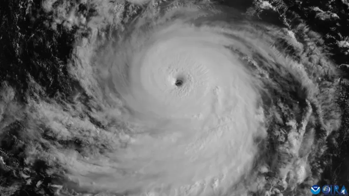
El huracán Franklin, de categoría 4, presenta un ojo despejado mientras se encuentra en el océano Atlántico el 28 de agosto de 2023. CSU/CIRA y NOAA
Aun así, las condiciones de El Niño no garantizan una temporada de huracanes más tranquila. Si bien se presentaron durante el peak de la temporada de 2023, las temperaturas oceánicas extremadamente cálidas actuaron como un combustible para cohetes, permitiendo que los sistemas se desarrollaran y prosperaran a pesar del aumento de la cizalladura del viento.
El momento exacto y la intensidad de El Niño determinarán en última instancia su influencia en la temporada. Hay indicios tempranos de que El Niño podría volverse bastante fuerte, pero aún es demasiado pronto para afirmarlo con certeza.
La temperatura del océano importa
Si bien El Niño señala la posibilidad de una temporada ligeramente por debajo del promedio, las tendencias actuales de la temperatura del océano ofrecen un mensaje contradictorio.
Las temperaturas del océano son más cálidas de lo normal en el Atlántico tropical occidental, la parte del océano más cercana al Caribe. En abril, estas temperaturas suelen correlacionarse bien con temporadas de huracanes activas, según la Universidad Estatal de Colorado.
Sin embargo, según la CSU, las temperaturas del océano son actualmente un poco más frías de lo normal en algunas zonas del Atlántico tropical central y oriental, lo que normalmente se asocia con temporadas de huracanes más tranquilas.
Las temperaturas de la superficie del mar aumentarán durante la primavera y el verano, alcanzando su punto máximo a principios de septiembre. El momento en que se produce este aumento de temperatura es crucial, ya que constituye la fuente de energía de todos los sistemas tropicales.
La contaminación por combustibles fósiles, que contribuye al calentamiento global, está inclinando la balanza hacia océanos más cálidos que alimentan tormentas más peligrosas.
Los científicos afirman que las temperaturas inusualmente cálidas del océano probablemente provocarán un aumento de tormentas que se intensificarán rápidamente, como ocurrió con cuatro huracanes el año pasado. Tres de estos cuatro huracanes —Erin, Humberto y Melissa— experimentaron esta intensificación explosiva y se convirtieron en monstruos de categoría 5.
Si las temperaturas del océano aumentan más de lo previsto, podrían debilitar nuevamente la influencia de El Niño y propiciar una temporada más activa.
“Todavía hay mucho que puede cambiar de aquí al peak de la temporada”, advirtió Klotzbach.
Lo más leído
- Alcalde de Santiago rechaza ampliación de Santiago 1: “Le exijo al Gobierno que busque alternativas”
- “Chile está en la lupa”: Alessandri destaca interés internacional y potencial del país en Chile Day
- Defensa de Joaquín Lavín León anuncia recursos contra la prisión preventiva: "La resolución no es justa"
- Salió de Chile vuelo con 40 migrantes expulsados por distintos delitos: Destinos son Colombia, Haití y República Dominicana
- Cortes de luz en la RM: Enel anuncia interrupciones programadas en distintas comunas este fin de semana